Η τελευταία μοιρασμένη πρωτεύουσα της Ευρώπης
ΔΗΜΑΡΧΟΣ
Ο Δήμαρχος
Προηγούμενοι Δήμαρχοι
ΔΗΜΟΤΙΚΟ ΣΥΜΒΟΥΛΙΟ
Αντιδήμαρχοι
Μέλη Συμβουλίου
Δημοτικές Επιτροπές
Δημοσιοποίηση Αποφάσεων
Ο ΔΗΜΟΣ
Όραμα & Αποστολή
Υπηρεσίες
Έργα
Απολογισμός Έργου
Πολιτικοί Γάμοι
Πολυδύναμο Δημοτικό Κέντρο Λευκωσίας
Δημοτικό Συμβούλιο Νεολαίας
Ιστορία Δήμου Λευκωσίας
Διδυμοποιήσεις με Δήμους
Συνεργασίες με Δήμους
Πλάκα της Τιμής & Σημαία της Τιμής
ΕΝΗΜΕΡΩΣΗ
Ανακοινώσεις
Εκδηλώσεις
Χριστούγεννα στην Πρωτεύουσα!
Διεθνές Φεστιβάλ Λευκωσίας
Ανοικτό Σχολείο Αγλαντζιάς
Πολυδύναμο Αγίου Δομετίου
Λευκωσία 2030
Ευρωπαϊκή Εβδομάδα Κινητικότητας 2025
Σχέδια Χορηγιών και Κινήτρων
Δημόσιες Προσφορές
Κενές Θέσεις Εργασίας
Πολεοδομικά Θέματα
Περιβαλλοντικές Μελέτες
Απόψεις περιοίκων για αιτήσεις ανάπτυξης (ιδιωτικές)
Εγγραφή στο Ενημερωτικό Δελτίο
Κατασκευή, επανακατασκευή και βελτίωση οδών (Άρθρο 52)
Μέτρα αυτοπροστασίας από το σεισμό
Υποτροφίες σε Δημότες
Ευρωπαϊκά Προγράμματα
Εκστρατείες & Προγράμματα
Σύμφωνο των Δημάρχων - Σχέδια Δράσης Βιώσιμης Ενέργειας
Η ΛΕΥΚΩΣΙΑ
Ιστορία
Αξιοθέατα
Μουσεία
Θέατρα
Πινακοθήκες & Κέντρα Τεχνών
Βιβλιοθήκες
Εμπορικοί Δρόμοι
Διαμονή
Χάρτης της πόλης
Πολιτιστικά Κέντρα
Πλατείες
Πάρκα & Κήποι
Δημοτικές Αγορές
Χώροι Λατρείας
Ξεναγήσεις
Κυβερνητικά Κτίρια
Ποδηλατόδρομοι
Ιστορικά Σχολεία
Εκπαίδευση
Αθλητικοί Χώροι
Καλλιτέχνες της Πόλης
Πισίνες & Κολυμβητήρια
Συγκοινωνίες
Χώροι Στάθμευσης
ΕΞΥΠΗΡΕΤΗΣΗ
Επικοινωνήστε μαζί μας
Γραφείο Εξυπηρέτησης & Πληροφόρησης του Δημότη
Πρόγραμμα περισυλλογής σκυβάλων / ανακύκλωσης / χάρτινων σακουλιών
Ηλεκτρονικές Αιτήσεις
Έντυπα & Αιτήσεις
Online Πληρωμές
Πράσινα Σημεία Επαρχίας Λευκωσίας
Υποβολή Αιτήματος / Εισήγησης
Επαλήθευση Πιστοποιητικών Γάμου
Συχνές Ερωτήσεις
Κοινοτάρχες Ενοριών
Υπηρεσίες Άμεσης Ανάγκης
Εξωτερικές Συνδέσεις
Ελληνικά
English
Russian
Webmail
e-λευκωσία
DMS
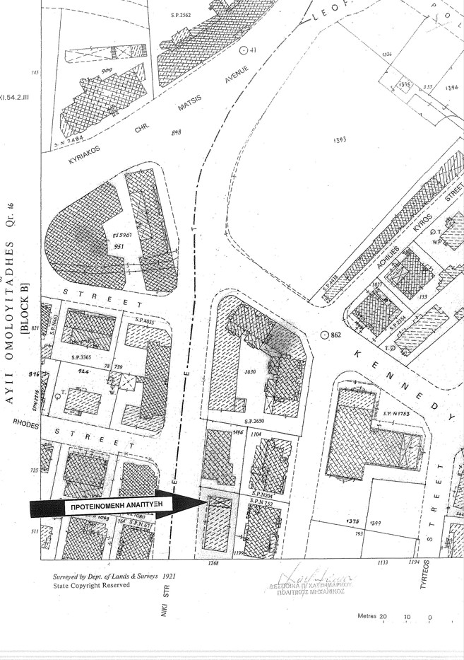
Αίτηση ΠΠΑ 196/23 στην Λεωφόρο Νίκης αρ.5, ενορία Άγιοι Ομολογητές
ΕΝΗΜΕΡΩΣΗ
/
Απόψεις περιοίκων για αιτήσεις ανάπτυξης (ιδιωτικές)
/
Αίτηση ΠΠΑ 196/23 στην Λεωφόρο Νίκης αρ.5, ενορία Άγιοι Ομολογητές
Πεμ, 28 Δεκ. 2023
14:05
Αλλαγή χρήσης καταστήματος σε κατάστημα πώλησης έτοιμων φαγητών «Take-away & delivery»
Απόψεις περιοίκων για αιτήσεις ανάπτυξης (ιδιωτικές)
ΠΠΑ *:
Όνομα *:
Επίθετο *:
Αριθμός Ταυτότητας *:
E-Mail:
Τηλέφωνο *:
Σχέση με το χώρο της προτεινόμενης ανάπτυξης *:
Διεύθυνση & Χρήση του Υποστατικού σας *:
Διεύθυνση Κατοικίας (Αν είναι Διαφορετική):
Αναφορικά με τηv προτεινόμενη ανάπτυξη δηλώvω ότι:
------------------
εvίσταμαι
δεv εvίσταμαι
Λόγoι Ένστασης/Απόψεις/Εισηγήσεις:
Ερώτηση Ασφαλείας *:
Enter security code:
Άλλες
25 Απρ
Αίτηση ΠΠΑ 47/24 στην οδό Επτανήσου στην ενορία...
25 Απρ
Αίτηση ΠΠΑ 359/23 στην οδό Στασικράτους 30 στην...
26 Ιαν
Αίτηση ΠΠΑ 284/23 στην οδό Πινδάρου στην ενορία...
28 Δεκ
Αίτηση ΠΠΑ 196/23 στην Λεωφόρο Νίκης αρ.5...
25 Σεπ
Αίτηση ΠΠΑ 199/22 στη γωνία Βασιλέως Παύλου και...
21 Αυγ
Αίτηση ΠΠΑ 54/23 στην στη γωνία της Λεωφ...